Current Projects
Projects

Project Location: 1020 Kismet Parkway
Project Description: Design and Construction of a new Police Training Facility that will include an interior gun range, classrooms, simulation training rooms, offices and a workshop.
Project Location: On the Southwest Cape Coral Water Reclamation Facility (2090 SW 32nd Street)
Project Description: Design and Construction of a new training facility that will include a 5 story training tower and an adjacent classroom/administration building.


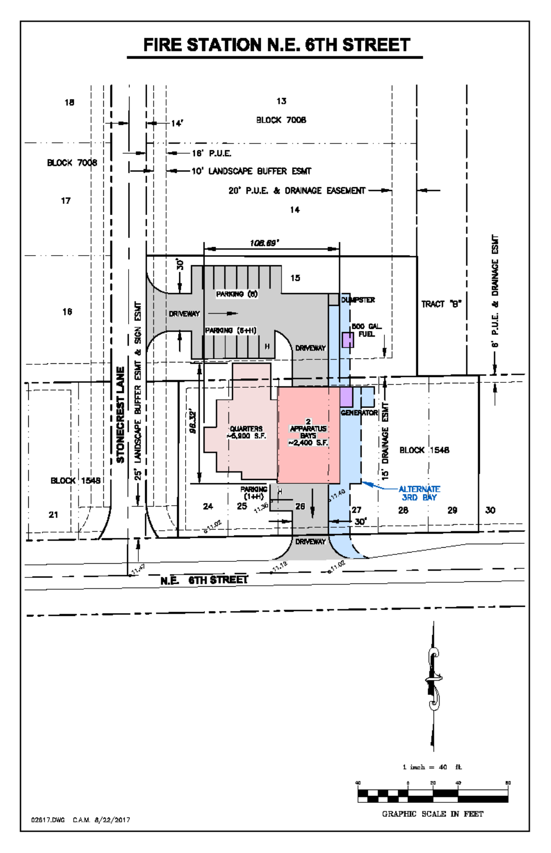
Project Location: Intersection of Stonecrest Lane and NE 6th Street
Project Description: New three bay fire station (It will look like Fire Station #2 located at 521 Nicholas Pkwy East)
Project Location: 1200 Kismet Pkwy West, Cape Coral, FL.
Project Description: Study and Design of a new fleet facility building to replace the existing fleet facility. Facility will be designed for build-out conditions.
Project Location: Various locations throughout the City
Project Description: Inspection and Prioritization for 140 Bridge Rehab or Replacements as needed
Project Location: Various locations throughout the City
Project Description: Inspection and Prioritization for 28 Weir Rehab or Replacements as needed


Project updates & Press releases:
02/03/25 - Major sitework begins.
10/17/24 - Jaycee Park Closed for Improvements Beginning October 22
09/27/24 - City to Begin Removal of Outdoor Furnishings from Jaycee Park
08/06/24 - City Management to Request Second and Final Public Hearing on Unsolicited P3 Proposal for Jaycee Park be Continued and Deferred to August 21
03/22/24 - Jaycee Park 30% Design Review Available Online
03/13/24 - Jaycee Park 30% Design Review Set for March 26

February 2025: Major sitework has begun at Jaycee Park, with the contractor conducting demolition of existing structures (pavilions, playgrounds, restrooms), removal of interior roads and walkways, and tree stump removal. This phase is expected to continue for several months.
While the renovation may cause some temporary inconvenience for nearby residents, the contractor will implement best management practices to minimize impacts. However, noise and dust are unavoidable byproducts of this work. A water truck will be used as needed to control dust, but residents should expect some dust in the area during construction.
October 2024: As part of the first phase of site preparation at Jaycee Park, invasive Australian pines have been removed. These trees had spread from the shoreline into the park’s interior. Many showed signs of “heart rot,” a fungal disease that weakens the tree structure, making it prone to breakage.
The City will replace the invasive trees with native and non-invasive species and will preserve or relocate many existing native trees. Click here to see progress photos.
Council Approves Jaycee Park Unsolicited Public-Private Partnership Proposal
At the Aug. 21, 2024, City Council Meeting, Council voted 6-2 to move forward with a public-private partnership proposal, approving a comprehensive agreement with Fortress Secured, LLC, to handle the construction and a concessionaire's agreement with The Reef Cape Coral, LLC, to run the food and refreshment services at Jaycee Park.

Check out the video below to view updated renderings for Jaycee Park!

Project Area:
15.2 acres of undeveloped property on the eastern side of the Oasis Charter School Campus.
Project Scope:
Evaluation of existing site conditions of the undeveloped 15.2 acre parcel adjacent to the Charter School Buildings. Development of a final site plan that will maximize the absolute best use of all available space. Design elements that the City would like to consider and implement for the available space should include but not be limited to the following:

Project Area:
315 SW 2nd Avenue
Project Scope:
Replace the existing modular building

Project Area:
The project area is defined as Andalusia Boulevard, with the projected limits extending from approximately 400 L.F. south of the existing intersection of Andalusia Boulevard and Kismet Parkway E. (including the east and west approaches extending approximately 300 L.F. each), north to Jacaranda Parkway E., extending approximately 700 L.F. north of Jacaranda Parkway E. in Cape Coral, Florida.
Scope of Work:
The City of Cape Coral desires to construct the missing segment of Andalusia Boulevard and to improve the existing intersections of Andalusia Boulevard/Kismet Parkway E., and Andalusia Boulevard/Jacaranda Parkway E. The improvements may include traffic signal installation, curb and gutter, sidewalks, milling and resurfacing, new roadway construction, street lighting, pavement markings, signage, drainage, median landscaping, and utility extensions/adjustments as needed. Consultant shall design all improvements to meet the requirements of the City of Cape Coral Engineering Design Standards and Florida Greenbook.
![]() |
![]() |

Project Location: 1020 Kismet Parkway
Project Description: Design and Construction of a new Police Training Facility that will include an interior gun range, classrooms, simulation training rooms, offices and a workshop.
- Kaufmann-Lynn Contractor
- Construction is 95% Complete
- Proposed Completion is December 2024
- Schenkel-Shultz is the Design Engineer
- Design is currently 100% Complete
- Site Relocation from Andalusia Blvd & Durden Pkwy to Kismet Pkwy estimated $1.5 Million Savings
- $12 Million estimated in Construction Costs
![]() |
![]() |
Project Location: On the Southwest Cape Coral Water Reclamation Facility (2090 SW 32nd Street)
Project Description: Design and Construction of a new training facility that will include a 5 story training tower and an adjacent classroom/administration building.
- Sweet Sparkman Architects is currently 100% complete with the design
- Wright Construction is the Construction Manager at Risk (CMAR) for the Construction
- $11.6 Million construction costs
- Start of Construction Spring 2023
- Estimated Construction Completion in December 2024


Project Location: Intersection of Stonecrest Lane and NE 6th Street
Project Description: New three bay fire station (It will look like Fire Station #2 located at 521 Nicholas Pkwy East)
- Design Engineer Sweet Sparkman - Currently 100% Complete
- Design budget $688,000
- Contractor - Wright Construction
- $7.7 Million estimated construction cost
- Construction start Spring 2023
![]() |
![]() |
Project Location: 1200 Kismet Pkwy West, Cape Coral, FL.
Project Description: Study and Design of a new fleet facility building to replace the existing fleet facility. Facility will be designed for build-out conditions.
- Study & Design by Weston & Sampson Engineers
- $3.8 M Study and Design Budget
- 100% Complete with the Study
- Notice to Proceed for Design May 2024
- 12% Complete with the Design
- Proposed Completion of Design - January 2026
- Estimated Construction is over $49 Million
![]() |
![]() |
![]() |
Project Location: Various locations throughout the City
Project Description: Inspection and Prioritization for 140 Bridge Rehab or Replacements as needed
- Volkert selected for Engineering Services
- Report is currently being updated to incorporate all new post-storm inspections resulting from Hurricane Ian. Volkert is working on incorporating City issued comments on Master Plan report and recommendations. Repair recommendations, cost estimates, and program budgeting are being updated to reflect all updates,
- Volkert will develop GIS database to populate the City's bridge inventory database and will continue to work with City GIS staff to develop database.
- Currently 80% complete
- $1 Million per year budgeted for construction
![]() |
![]() |
![]() |
Project Location: Various locations throughout the City
Project Description: Inspection and Prioritization for 28 Weir Rehab or Replacements as needed
- AIM Engineering selected for Structural Engineering Services
- AIM Engineering currently working on 60% submittal.
- Currently 78% complete
- $1 Million per year budgeted

Project updates & Press releases:
02/03/25 - Major sitework begins.
10/17/24 - Jaycee Park Closed for Improvements Beginning October 22
09/27/24 - City to Begin Removal of Outdoor Furnishings from Jaycee Park
08/06/24 - City Management to Request Second and Final Public Hearing on Unsolicited P3 Proposal for Jaycee Park be Continued and Deferred to August 21
03/22/24 - Jaycee Park 30% Design Review Available Online
03/13/24 - Jaycee Park 30% Design Review Set for March 26
February 2025: Major sitework has begun at Jaycee Park, with the contractor conducting demolition of existing structures (pavilions, playgrounds, restrooms), removal of interior roads and walkways, and tree stump removal. This phase is expected to continue for several months.
While the renovation may cause some temporary inconvenience for nearby residents, the contractor will implement best management practices to minimize impacts. However, noise and dust are unavoidable byproducts of this work. A water truck will be used as needed to control dust, but residents should expect some dust in the area during construction.
October 2024: As part of the first phase of site preparation at Jaycee Park, invasive Australian pines have been removed. These trees had spread from the shoreline into the park’s interior. Many showed signs of “heart rot,” a fungal disease that weakens the tree structure, making it prone to breakage.
The City will replace the invasive trees with native and non-invasive species and will preserve or relocate many existing native trees. Click here to see progress photos.
Council Approves Jaycee Park Unsolicited Public-Private Partnership Proposal
At the Aug. 21, 2024, City Council Meeting, Council voted 6-2 to move forward with a public-private partnership proposal, approving a comprehensive agreement with Fortress Secured, LLC, to handle the construction and a concessionaire's agreement with The Reef Cape Coral, LLC, to run the food and refreshment services at Jaycee Park.
Check out the video below to view updated renderings for Jaycee Park!
Project Area:
Jacaranda Parkway East and Averill Boulevard
Project Scope:
Design of several buildings on this site which includes a fire station, an adjoined community
center/auxiliary Emergency Operations Center (EOC) and a building with reserve apparatus bays and a maintenance shop.
Jacaranda Parkway East and Averill Boulevard
Project Scope:
Design of several buildings on this site which includes a fire station, an adjoined community
center/auxiliary Emergency Operations Center (EOC) and a building with reserve apparatus bays and a maintenance shop.

Project Area:
15.2 acres of undeveloped property on the eastern side of the Oasis Charter School Campus.
Project Scope:
Evaluation of existing site conditions of the undeveloped 15.2 acre parcel adjacent to the Charter School Buildings. Development of a final site plan that will maximize the absolute best use of all available space. Design elements that the City would like to consider and implement for the available space should include but not be limited to the following:
- A multi-use field that can be reconfigured for football, soccer, field hockey, or lacrosse.
- A running track around the perimeter of the sports field.(surface type to be determined)
- Bleachers for both the home and visitors sidelines with a minimal size press box.
- Restroom and concession facility.
- Locker room for home and visiting teams.
- Full ADA accommodations for all areas.
- Hardened walkways around entire facility.
- Shaded pavilions.
- Sports field lighting.
- Facility sound system.
- Field(s) to include all nets, goal post, sideline benches, score boards, drainage and irrigation systems.
- New parking facility with maximum amount of spaces along with an efficient, safe traffic circulation plan for both pedestrians and vehicles.
- Emergency vehicle access to the field(s).

Project Area:
315 SW 2nd Avenue
Project Scope:
Replace the existing modular building

Project Area:
The project area is defined as Andalusia Boulevard, with the projected limits extending from approximately 400 L.F. south of the existing intersection of Andalusia Boulevard and Kismet Parkway E. (including the east and west approaches extending approximately 300 L.F. each), north to Jacaranda Parkway E., extending approximately 700 L.F. north of Jacaranda Parkway E. in Cape Coral, Florida.
Scope of Work:
The City of Cape Coral desires to construct the missing segment of Andalusia Boulevard and to improve the existing intersections of Andalusia Boulevard/Kismet Parkway E., and Andalusia Boulevard/Jacaranda Parkway E. The improvements may include traffic signal installation, curb and gutter, sidewalks, milling and resurfacing, new roadway construction, street lighting, pavement markings, signage, drainage, median landscaping, and utility extensions/adjustments as needed. Consultant shall design all improvements to meet the requirements of the City of Cape Coral Engineering Design Standards and Florida Greenbook.





















